Skip to main content Skip to footer

News

  • Mapped areas availble for fish derby camping, with a proper permit
    Owen Sound Introduces New Fish Derby Camping Permit System

    The City of Owen Sound is implementing a new Fish Derby Camping (FDC) permit system in 2025 to help balance the use of harbourfront spaces during two major local events — the Salmon Spectacular and The Sound Charity Shootout. The new system is designed to maintain safety, cleanliness, and public access while continuing to support long-standing fishing and event traditions.

  • Traffic Alert: Alternating Lane Closures on 10th Street East from Monday, June 16 to Wednesday, June 18

    Owen Sound motorists should be aware of alternating lane closures on 10th Street East, happening between 2nd Avenue East and 3rd Avenue East, beginning Monday, June 16. These lane closures are required to accommodate necessary work being done by a privately commissioned contractor and are expected to last until Wednesday, June 18. 

  • Rehabilitation of 9th Avenue East from Superior Street to 6th Street East Beginning June 18

    The City of Owen Sound is notifying motorists of an upcoming large construction project in the City’s Southeast end. Traffic will be disrupted on 9th Avenue East from Superior Street to 6th Street East from June to November of 2025. The scope of work includes infrastructure replacement, sidewalk expansion, and road resurfacing.  

  • Map of surplus land off 21st St E
    Public Notice of Intention to Stop Up and Close, Declare Surplus, and Dispose of Municipal Property

    Please be advised that the Council of The Corporation of the City of Owen Sound intends to consider stopping up and closing, declaring surplus, and disposing of municipal property. 

    The subject lands are described as the southerly portion of the unopen portion of 21st Street East, west of 9th Avenue East.  Attached is a key map that depicts the portion of the right of way that is being considered to be stopped up, closed and declared surplus and sold.

  • 8th st temporary road closure in the 700 block
    Temporary 8th Street East Road Closure Scheduled for Tuesday, June 10th

    The City of Owen Sound will be closing 8th Street East between 7th Avenue East and 8th Avenue East beginning at 10:00 a.m. on Tuesday, June 9th. This closure is needed for the safe removal of a large tree and is expected to re-open by 1:00 p.m. on Tuesday afternoon.

  • Notice of Meeting Cancellations - Service Review Implementation Ad Hoc Committee and Corporate Services Committee

    Please be advised that the following meetings have been cancelled: 

    • Service Review Implementation Ad Hoc Committee scheduled for June 11, 2025; and  

    • Corporate Services Committee meeting scheduled for June 12, 2025. 

     

    The Service Review Implementation Ad Hoc Committee meeting will be rescheduled for a future date to be announced. The next meeting of the Corporate Services Committee will be held on Thursday, July 10, 2025 at 5:30 p.m. 

  • Join a committee in Owen Sound
    City Seeks Volunteers to Apply Now for Corporate Services Committee

    The City of Owen Sound is seeking a dedicated and community-minded individual to serve as a public member on the Corporate Services Committee.

    The Committee provides a forum for the exchange of ideas and collaborative action, supporting Council in achieving the goals of the City’s Strategic Plan. Responsibilities include:

    • Offering input and guidance on City policy development related to Corporate Services and the Fire Department
    • Supporting the effective implementation of programs and services; and
    • Working closely with City staff, community stakeholders, and partners.

    The City encourages applications from individuals who are passionate about public service and interested in making a meaningful contribution to the future of our community.

     

  • Watermain break at 10st St W and 3rd ave W
    Watermain Break: 300 Block of 10th Street West

    The City of Owen Sound is on site attending to a watermain break in the 300 block of 10th Street West. This section of the road is down to one lane in each direction. The City is asking motorists to avoid the area as they undertake the emergency watermain repair.  

    Residents in the area may notice reduced water pressure.  The estimated time for repair completion is Wednesday June 4 by 4 PM.

  • Event details for DRP 2 celebration
    Join the Festivities to Celebrate Owen Sound’s Downtown River Precinct 2 Project

    Join the City of Owen Sound and the River District Board of Management for the Opening Celebration of the Downtown River Precinct Project Phase 2 on Friday, June 6, 2025. 

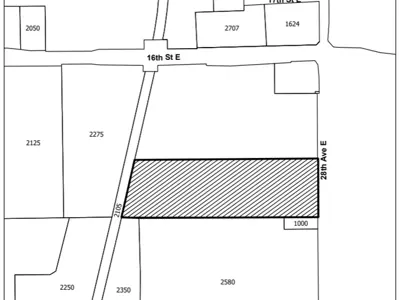
  • Notice of Public Meeting - Zoning By-law Amendment (ZBA) No. 56 - 28th Avenue East

    Take notice that the Council of The Corporation of the City of Owen Sound has received an application for a Zoning By-law Amendment, being an application to amend Comprehensive Zoning By-law 2010-078, as amended pursuant to Section 34 of the Planning Act, R.S.O. 1990, c. P.13, as amended (the “Planning Act”) for lands located at PT PARK LOT 10 RANGE 5 EGR PL  OWEN SOUND, PARTS 4 & 7 ON 16R-12122 (New Roll # not yet assigned,  lands represent a portion of Roll # 425904006500100). This application is deemed to be a complete submission under Section 34(10.4) of the Planning Act.

    Take notice that the Council of The Corporation of the City of Owen Sound will hold a public meeting to consider Zoning By-law Amendment No. 56 on June 23, 2025 at 5:30 p.m., in the Council Chambers of the City of Owen Sound, in accordance with Section 34 of the Planning Act.

    Property Description:

    The subject lands are legally described as PT PARK LOT 10 RANGE 5 EGR PL OWEN SOUND, PARTS 4 & 7 ON 16R-12122. The lands are located on 28th Avenue East, south of 16th Street East and are shown more particularly on the Key Map below.

    Purpose and Effect:

    The purpose of the application is to permit the construction of a new secondary school. The new school is proposed to be comprised of two floors with approximately 12,077 square metres of floor space.

    The proposal also includes the construction of parking areas, stormwater management area, a field house, a small auto shop, sports fields and a portables area in case portables are warranted in the future due to increased student enrolment.

    The effect of the application is to amend the zone category applying to the subject lands from Rural (RUR) to Institutional (I) to permit the proposed use. The application may also result in the refinement of the existing Hazard (ZH) zone boundaries to reflect the findings of site specific studies completed in support of the rezoning.

    Public Meeting:

    Date:        Monday, June 23, 2025

    Time:        5:30 p.m.

    Location:    City Hall, Council Chambers
    808 2nd Avenue East, Owen Sound 

    Public Comments/Record:

    Any person may participate in the public meeting and/or make written or oral submissions either in support of or in opposition to the proposed Zoning By-law Amendment. All submissions will form part of the public record.

    Oral and written comments will be considered at the public meeting. Written comments will be accepted until 4:30 p.m. on Monday, June 23, 2025, and may be submitted to Briana Bloomfield, City Clerk as follows:

    Electronic Mail: notice@owensound.ca

    Regular Mail: 808 2nd Avenue East, Owen Sound, ON N4K 2H4

    Written comments received by June 17, 2025 will appear on the Council Meeting agenda which will be available for review on June 18, 2025, on the Council and Committees webpage at www.owensound.ca/meetings. Written comments received by the deadline will be included in the agenda when it is republished after the meeting.

    If you wish to participate in the public meeting electronically, you must contact the City Clerk by Friday, June 20, 2025, at 4:30 p.m. at bbloomfield@owensound.ca or 519-376-4440 ext. 1247 to be registered to participate in the public meeting.

    To ensure that your comments are clearly understood and received prior to Council making a decision, you are strongly encouraged to submit written comments prior to the public meeting even if you intend to attend the public meeting.

    Personal information is collected under the authority of the Planning Act. The information collected will be used to complete the Zoning By-law Amendment process and will form part of the public record. Questions about this collection should be addressed to Briana Bloomfield, City Clerk.

    Additional Information:

    If a person or public body would otherwise have an ability to appeal the decision of the Council of The Corporation of the City of Owen Sound to the Ontario Land Tribunal but the person or public body does not make oral submissions at a public meeting or make written submissions to The Corporation of the City of Owen Sound before the by-law is passed, the person or public body is not entitled to appeal the decision.

    If a person or public body does not make oral submissions at a public meeting or make written submissions to The Corporation of the City of Owen Sound before the by-law is passed, the person or public body may not be added as a party to the hearing of an appeal before the Ontario Land Tribunal unless, in the opinion of the Tribunal, there are reasonable grounds to do so.

    If you wish to be notified of the decision of The Corporation of the City of Owen Sound on the proposed Zoning By-law Amendment, you must make a written request to The Corporation of the City of Owen Sound at the address noted below.

    For more information about this matter, including information about appeal rights, or to inspect additional materials related to the proposed Zoning By-law Amendment, please contact Margaret Potter, Planning Division by email at planning@owensound.ca or telephone at 519-376-4440 ext. 1250 Monday to Friday between the hours of 8:30 a.m. and 4:30 p.m. or by visiting http://www.owensound.ca/development.

    A copy of the proposed Zoning By-law Amendment is available on the website together with additional plans, background studies and reports submitted with the application.

    The public meeting and all Council proceedings can be viewed during and after the meeting on the City’s Council and Committees webpage.

    If you are the owner of a building that contains 7 or more residential units, please post this notice in a location that is visible to all the residents.

    Notice Date: June 3, 2025

    Allison Penner
    Deputy Clerk
    The Corporation of the City of Owen Sound
    808 2nd Avenue East
    Owen Sound, ON N4K 2H4
    Telephone:  519-376-4440 ext. 1235
    Email:        notice@owensound.ca


Contact Us

808 2nd Avenue East,
Owen Sound, ON
N4K 2H4
Phone: 519-376-1440
Email us

Sign up for City news to your inbox!

Stay up to date on the city's activities, events, programs and operations by subscribing to our news posts.

This website uses cookies to enhance usability and provide you with a more personal experience. By using this website, you agree to our use of cookies as explained in our Privacy Policy.